Bylaw 2025-09 Public Hearing: Heinsburg Rezoning
The County of St. Paul will hold a public hearing on August 12 at 11 a.m. in the Council Chambers at the Administration Building (5015 49 Avenue, St. Paul).
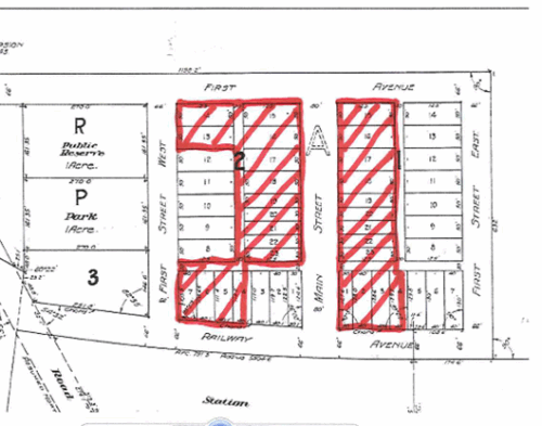
The hearing being held is in regard to Bylaw 2025-09, for the purpose of amending the Land Use Bylaw 2021-13, to rezone the following lots of the County of St. Paul from the General Urban (U) District to the Direct Control Heinsburg District:
- Lots 1, 2, 3 and West Half 4 Block 1 Plan 4950EO;
- Lots 15 to 23 Block 1 Plan 4950EO;
- Lots West Half 4, 5, 6, 7 Block 2 Plan 4950EO; and
- Lots 13 to 23 Block 2 Plan 4950EO.
This rezoning is to encourage development on some of the existing small, vacant lots in the historic townsite portion of the Hamlet of Heinsburg. The proposed new District provides for mostly residential uses, including:
- reducing minimum building sizes and setbacks
- allows for one recreational vehicle per lot that contains a dwelling
- requires a cistern & holding tank for each lot
Changes also include a reduced range of non-residential uses, compared to the existing General Urban District. The proposed amendments related to Direct Control Heinsburg can be read here.

A Public Hearing will be held where persons claiming to be affected by this change may voice their concerns. At the Public Hearing, the Chair shall hear representation first from people who claim to be directly affected by the proposed rezoning, followed by any other person who wishes to speak.
If you wish to speak for or against the proposed bylaw, contact Betty Richard at [email protected], before Friday, August 8, 2025, to attend the meeting.
Concerns may also be given via written submissions mailed, emailed ([email protected]), or delivered to the Administration Office prior to the Public Hearing.
Listen to the Public Hearing live at: www.youtube.com/@countyofst.paulno.1987
The Public Hearing is being held in accordance with Section 692 of the Municipal Government Act, Chapter M-26, Revised Statutes of Alberta 2000, as amended.
-Jason Wallsmith, Chief Administrative Officer